Fruiting Ecology of the Jackalberry Tree

The Jackalberry Tree (Diospyros mespiliformis), also known as African ebony, is a common lowveld tree in South Africa, and an important fruit for fruit-eating birds in late winter. The tree occurs all around Africa, from Senegal to the Sudan, down into Namibia and northern South Africa as far as southern Eswatini. In South Africa, it is most common in the Limpopo and Mpumalanga lowveld. You often find it along river banks of seasonal rivers. The tree is named because its fruit and seeds are commonly seen in jackal faeces, suggesting that jackals favour the fruit.

It belongs to the family Ebenaceae, which includes ebony and persimmon among its 768 species. This family also contains the genus Euclea, typically referred to as guarrie trees and which are also important sources of fruit for bushveld birds in early winter.

Leaves are simple, alternate, and elliptical in shape. They are spiralled along the branch and clustered at the end of the branch. They are bright green above and pale green on the underside. They turn yellow in late winter and spring. New leaves that form in spring tend to have a pink tinge.

Mature trees have dark grey to grey-brown fissured bark. Trees typically reach 4 to 6 metres in height, but exceptional trees can reach up to 25 metres. Trees have dense, dark green foliage composed of elliptical leaves.

The jackalberry tree is dioecious, meaning that trees are either male or female. Flowers arise in the axils of the alternate leaves. Flowering happens in the rainy season, and the cream-coloured flowers are small and inconspicuous, but petals develop a deep, blood red colour. You need a good hand lens to tell their sex.

Early female flowers of a jackalberry tree in the leaf axils.
Early female flowers of a jackalberry tree in the leaf axils.

The fruits develop and mature at the height of the dry season during August, and may even last into September. It is often the only tree with fruit at this time of the year, so many animals seek it out. Once the fruit is fully ripe, it turns yellow or purple, but is hardly ever seen in the purple colour because they typically get eaten before they turn dark. Indeed, the fruits here are ripe enough to eat when they are yellowish in colour, and I have never seen one go purple.

Female jackalberry flower up close.
Female jackalberry flower up close.

Sometimes, having a fruiting tree nearby presents an opportunity not only to take pictures and document what is known about frutivores but also to make observations and learn details that are not well documented in the literature. I am lucky enough to live on the bank of a dry/seasonal river bed, with riparian (riverside) vegetation just out the window. Since my office, lounge and bedroom windows all face the trees, I have a near constant, if sometimes distracting, view of what goes on there. The female jackalberry tree here allows me to observe a seasonal phenomenon that is replicated across much of sub-Saharan Africa.

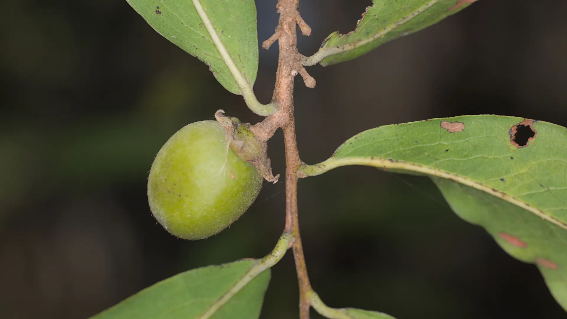
Young jackalberry fruit.
Young jackalberry fruit.

There is a whole ecosystem of animals feeding on the fruit of this tree. First, there are the frugivorous birds, including the African green pigeon (Treron calvus), purple crested turaco (Gallirex porphyreolophus), grey go-away bird (Crinifer concolor), and black collared barbet (Lybius torquatus). Of course, both local species of mousebirds were present, the speckled mousebird (Colius striatus) and the red-faced mousebird (Urocolius indicus), with the latter being the most common of the two. Then there are opportunistic fruit-eaters, such as Cape starling (Lamprotornis nitens) and common bulbul (Pycnonotus barbatus). On the mammal front, the main species is the vervet monkey, but also some bats partake of the fruit.

Then there are the mammal species that feed on the fruit and pieces of fruit that have fallen to the ground. Fruit may be found on the ground for several reasons, including getting ripe and falling (rare), getting knocked loose by animal activity, being partially eaten and discarded by monkeys, or being regurgitated by turacos and go-away birds. Turacos also sometimes pick fruit that is not ripe enough, and they discard it rather than swallowing it. Most of the resident antelope feed on these fruit on the ground, as do porcupines and at least one small unidentified rodent.

Africam greem pigeon eating ripe jackalberry fruit.
African green pigeon eating ripe jackalberry fruit.

This year, the first to come for the fruit were the African green pigeons. They mostly roosted in the tree and didn’t start feeding on the fruit initially. They squeeze the fruit a little with their beaks, much as we do with avocados, and only bite into it if it is showing signs of being ripe. For large fruit like the jackalberry, the green pigeons are unable to ingest the fruit whole despite their widened gape, hooked bill tip, and strong jaw muscles. Instead, they use their hooked bill to pick open the fruit and eat it while it remains attached to the tree. It seems like they leave behind the seeds and quite a bit of the pulp.

Hooked bill of the African green pigeon, used to open the fruit, which makes it accessible to birds that cannot open the peel.

Mousebirds also tend to bite into the ripened fruit and leave some behind as they move from fruit to fruit. Sometimes two or more mousebirds cooperate to open the skin of the ripe fruit, and then feed on it together.

The opened fruit with some pulp remaining creates opportunities for other birds, including common bulbul and Cape starlings, which seem to struggle opening the fruit that still has an intact peel unless it is really soft. These birds sometimes accidentally pull the remaining fruit from the tree, and in this case, they typically drop it to the ground, contributing to the food of the duiker and other mammals. Later, when the fruit is more ripe, bulbuls and starlings can dig into the fruit using a woodpecker-like hammering motion. Once opened in this way, they can access the pulp. However, even as more fruit ripen, they still obtain between 70% and 80% of their fruit by using the fruit opened by African green pigeons and mousebirds.

Bulbuls eating jackalberry fruit.

At least one black-headed oriole (Oriolus larvatus) also stops by the tree from time to time and feeds on fruit that has already been opened. Green wood-hoopoe (Phoeniculus purpureus) frequently visit the tree on its foraging rounds and opportunistically feed a little on the pulp of opened fruit. Still, they seldom stay for more than a minute or two. They also look for insects among the bark of the tree. I have seen a Kurrichane thrush (Turdus libonyana) biting into a fruit and eating the pulp.

Black-headed oriole feeding on jackalberry fruit.

Purple crested turacos and grey go-away birds ingest the fruit whole. Once it has been processed, they regurgitate the remains, which they probably mainly do around roosting trees rather than where they feed. Some roost up in a weeping boerbean tree nearby, and the common duiker often seek out their regurgitated fruit parts and ingest them.

Purple crested turaco with jackalberry fruit, which it swallows whole.
Purple crested turaco with jackalberry fruit, which it swallows whole.

Vervet monkeys (Chlorocebus pygerythrus) feed by biting open the fruit, extracting he pulp, and throwing away the remains. In this way, they create quite a lot of waste fruit, which attracts antelope, especially common duiker (Sylvicapra grimmia) and Cape bushbuck (Tragelaphus sylvaticus), which seem to relish them. These small antelope spend quite a bit of time sniffing the pieces of fruit out from the leaf litter. Porcupine and at least one unidentified small rodent also seek out fruit pieces from the leaf litter.

Vervet monkey biting open a jackalberry fruit to extract the pulp.

Vervet monkeys are not the only mammal that eats the fruit on the tree. Epauletted fruit bats come every night to eat the fruit when it is ripe. They are either Wahlberg's Epauletted Fruit-bat (Epomophorus wahlbergi) or Peters's Epauletted Fruit-bat (Epomophorus crypturus), but these cannot be distinguished from video material. The bats typically land in one spot for 0.5 to 3 seconds, and then fly off to another patch of fruit on the same tree. They quickly pick a fruit and fly off somewhere else to eat it, probably to another tree in the area. The soft tissue of the fruit is consumed while the seeds and skins are apparently discarded, thus contributing to dispersal and providing more treats for the small antelope.

Low quality trailcam capture of a fast moving epauletted fruit bat. It landed, took a fruit, and was gone in c. 2 seconds or less.

In the morning, when the frugivores are most active, there is a lot of interaction. Cape starlings often chase bulbuls from a fruit on which they are feeding, but they do not bother the African green pigeons or turacos. Both bulbuls and starlings visit a nearby birdbath, and their very vocal contact calls seem to attract other birds.

Fruit exists because it is selected for seed dispersal, but not all the animals eating the fruit of the jackalberry tree play the same role in seed dispersal. Purple crested turaco and grey go-away bird are probably the main birds directly involved in dispersal, since they ingest whole fruit and regurgitate the seeds in another location. Green pigeons may also swallow seeds with the pulp, but most of their feeding seems not to include the seeds. Cape starlings may ingest seeds as well, especially when the fruit is more mature, and they are often seen regurgitating the seeds. They often do this in a roosting area, or when they visit a source of water. In the latter case, there may be many starlings in the same location, most of them regurgitating at least one seed during the course of a day’s feeding. Common bulbuls also do the same, but nowhere near as much as the starlings.

I am not sure about mousebirds as I have not seen them ingesting seeds, but they are difficult to watch as they typically feed deep among the branches.

Some of the antelope may act in seed dispersal, but I have not directly observed this. If antelope do disperse seeds, then the birds and monkeys that drop partially eaten fruit on the ground may play an indirect role in seed dispersal. Monkeys typically spit out the seeds, so they are unlikely to be direct seed dispersers for jackalberry. Studying seed dispersal from Jackalberry trees would make a nice honours or masters thesis research project.